• ISSN: 3093-382X
  • Bảng giá quảng cáo!
  • Hotline: 0913.212.736

Phụ nữ mới
  • Tin tức
  • Nữ Trí thức
  • Nghiên cứu - Thực tiễn
  • Kiến thức
  • Bình đẳng giới
  • Ảnh
  • Video
Thứ bẩy 06/12/2025
  • Video

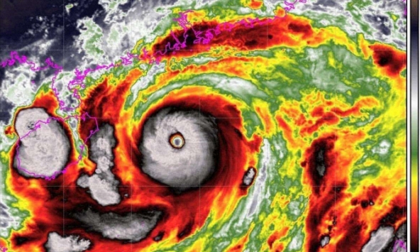
Bão số 3 Yagi tiến sát vào Quảng Ninh: Cây gãy đổ, gió giật mạnh

Hồi 7 giờ ngày 07/9, vị trí tâm bão số 3 cách bờ biển Quảng Ninh – Hải Phòng khoảng 153km. Do ảnh hưởng của bão, nhiều khu vực tại Quảng Ninh đã có mưa lớn và gió giật mạnh.

Quang Vũ

Từ khóa: bão số 3bão yagiSiêu Bão

PGS. TS Phạm Kim Ngọc nhà nghiên cứu ưu tú trong lĩnh vực Linh kiện Bán dẫn và Vật liệu Cấu trúc Nano.

TS. Linh Lê - Nhà khoa học nữ xuất sắc L’Oréal–UNESCO 2025

PGS.TS Tô Thị Mai Hương - Nhà nghiên cứu trong lĩnh vực Công nghệ Sinh học Nông nghiệp và Sinh lý Thực vật.

Ra mắt dự án “Vì nữ sinh viên vượt khó, học giỏi”, lan tỏa tri thức, nâng bước tương lai

Người dân hát "Như có Bác Hồ trong ngày vui đại thắng" khi chờ đón buổi sơ duyệt diễu binh

Tiết mục biểu diễn nhiều cảm xúc của đoàn Việt Nam tại tiệc chia tay INWES-APNN 2025.

 
Tạp chí điện tử Phụ nữ Mới
Thuộc Hội Nữ trí thức Việt Nam
Số giấy phép: 354/GP-BTTTT do Bộ Thông tin và Truyền thông cấp ngày 26/8/2019.
Tổng biên tập: Chu Thị Thu Hằng
 
Địa chỉ: 94 Nguyễn Hy Quang, phường Đống Đa, Hà Nội.
Hotline: 024.36.555.655 - 0913.212.736 - Email: tapchi@phunumoi.net.vn
 
Văn phòng đại diện tại TP. Hồ Chí Minh
Địa chỉ: 247/10 Hoàng Hoa Thám, phường Tân Bình, TP.HCM.
Hotline: 028.6678.4444 - Email: vanphong@phunumoihcm.vn
 
Văn phòng đại diện tại TP. Hải Phòng
Địa chỉ: 15 phố Cấm, phường Gia Viên, TP Hải Phòng
Hotline: 0913.242.977
® Phụ nữ Mới giữ bản quyền nội dung trên website này.
Ghi rõ nguồn "Phụ nữ Mới" khi phát hành lại thông tin từ trang web này.