Đêm ngày 6/9/2024, bão số 3 đã đi vào Vịnh Bắc Bộ, ảnh hưởng đến các tỉnh Bắc Bộ gây gió mạnh, mưa lớn, nguy cơ cao xảy ra ngập lụt tại các đô thị, vùng thấp trũng, sạt lở đất, lũ quét ở trung du và miền núi. Để đảm bảo an toàn tính mạng và tài sản của Nhân dân, Thủ tướng Chính phủ Phạm Minh Chính ký Công điện số 88/CĐ-TTg ngày 6/9/2024 yêu cầu các bộ ngành, địa phương tập trung ứng phó bão số 3 và mưa lũ sau bão.
![]() |
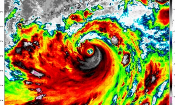
| Đêm ngày 6/9/2024, bão số 3 đã đi vào Vịnh Bắc Bộ, ảnh hưởng đến các tỉnh Bắc Bộ gây gió mạnh, mưa lớn, nguy cơ cao xảy ra ngập lụt tại các đô thị, vùng thấp trũng, sạt lở đất, lũ quét ở trung du và miền núi. |
Công điện gửi Bí thư, Chủ tịch Ủy ban Nhân dân các tỉnh, thành phố: Quảng Ninh, Hải Phòng, Thái Bình, Nam Định, Ninh Bình, Thanh Hóa, Lạng Sơn, Hà Giang, Tuyên Quang, Lào Cai, Yên Bái, Phú Thọ, Hòa Bình, Sơn La, Lai Châu, Điện Biên, Cao Bằng, Bắc Kạn, Thái Nguyên, Bắc Ninh, Bắc Giang, Hà Nội, Hưng Yên, Hà Nam, Vĩnh Phúc; Bộ trưởng các Bộ: Quốc phòng, Công an, Tài nguyên và Môi trường, Nông nghiệp và Phát triển nông thôn, Giáo dục và Đào tạo, Công Thương, Giao thông vận tải, Xây dựng, Ngoại giao, Văn hóa, Thể thao và Du lịch.
Theo báo cáo của Trung tâm dự báo Khí tượng thủy văn quốc gia, đêm 6/9, bão số 3 đã đi vào Vịnh Bắc Bộ, sức gió mạnh nhất vùng gần tâm bão mạnh cấp 14, giật cấp 17; từ ngày 7/9, bão sẽ ảnh hưởng đến các tỉnh Bắc Bộ gây gió mạnh, mưa lớn (lượng mưa phổ biến 100-350mm, cục bộ có nơi trên 500mm), nguy cơ cao xảy ra ngập lụt tại các đô thị, vùng thấp trũng, sạt lở đất, lũ quét ở trung du và miền núi.
Để đảm bảo an toàn tính mạng và tài sản của nhân dân, Thủ tướng Chính phủ yêu cầu các bộ, ngành, địa phương tiếp tục triển khai thực hiện quyết liệt, nghiêm túc, có hiệu quả chỉ đạo của Thủ tướng Chính phủ tại các Công điện số 86/CĐ-TTg ngày 3/9/2024 và số 87/CĐ-TTg ngày 5/9/2024, tập trung ưu tiên bảo đảm an toàn tính mạng và tài sản cho người dân và nhà nước.
Chủ tịch Ủy ban Nhân dân các tỉnh, thành phố nêu trên, căn cứ diễn biến tình hình bão, mưa lũ thực tế tại địa phương khuyến cáo người dân hạn chế đi ra ngoài đường nếu không có việc thực sự cần thiết; quyết định việc cho học sinh các cấp nghỉ học để bảo đảm an toàn.
Giao các Phó Thủ tướng Chính phủ theo lĩnh vực công tác được phân công, trực tiếp theo dõi, chỉ đạo thực hiện các bộ, ngành, địa phương triển khai thực hiện Công điện này.
Văn phòng Chính phủ theo chức năng, nhiệm vụ được giao theo dõi, đôn đốc các bộ, ngành, địa phương triển khai thực hiện Công điện này, kịp thời báo cáo Thủ tướng Chính phủ những vấn đề đột xuất, phát sinh./.




















Hà Nội: Học sinh nghỉ học ngày 7/9 tránh siêu bão Yagi
Tin bão số 3 Yagi mới nhất: Giật cấp 17, cách Quảng Ninh khoảng 510km
"Mây sóng thần" trên bầu trời Nghệ An trước thời điểm siêu bão Yagi đổ bộ là hiện tượng gì?
"Mây sóng thần" trên bầu trời Nghệ An trước thời điểm siêu bão Yagi đổ bộ là hiện tượng gì?
Hình ảnh lạ trên bầu trời Nghệ An trước thời điểm siêu bão Yagi đổ bộ Việt Nam
Mắt siêu bão Yagi thay đổi đáng sợ thế nào?
Cùng chuyên mục
Xây dựng Cao Bằng trở thành tỉnh năng động, phát triển nhanh và bền vững
Phát huy trí tuệ, đoàn kết, đổi mới - Nền tảng cho giai đoạn phát triển mới của Thành phố Hồ Chí Minh
Huy động hiệu quả nguồn lực, phát huy tiềm năng, lợi thế - Động lực đưa Cà Mau phát triển nhanh và bền vững trong kỷ nguyên mới
Xây dựng giai cấp công nhân Việt Nam hiện đại, lớn mạnh trong kỷ nguyên phát triển mới của dân tộc
Từ giáo dục STEM đến trọng dụng trí thức: Kỳ vọng của các trí thức nữ
Giải thưởng Sáng tạo châu Á năm 2025 vinh danh hai nhà khoa học của Đại học Bách khoa Hà Nội